
THE LATIN VOX (19 de Agosto del 2025).- Por Daniela Medina.
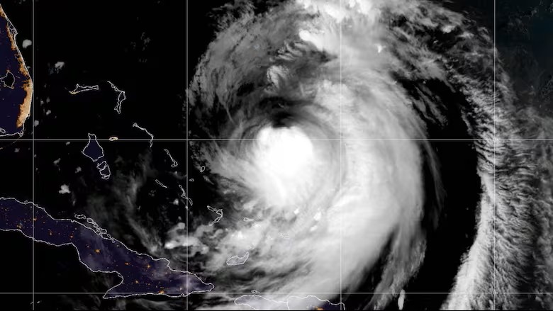
Erin, el primer huracán de la temporada atlántica de 2025, continúa su trayectoria hacia el norte del océano Atlántico tras haber alcanzado intensidad de categoría 5 este fin de semana, aunque ahora se encuentra debilitándose ligeramente a categoría 2 o 3, su fuerza sigue imponiendo condiciones marítimas altamente peligrosas en toda la costa este de Norteamérica, incluyendo las provincias atlánticas de Canadá .
Origen y evolución explosiva
- Erin se originó como tormenta tropical frente a Cabo Verde y en cuestión de días experimentó una intensificación rápida, pasando de tormenta a huracán categoría 5 en apenas 24 a 48 horas, alimentado por aguas del océano muy cálidas y condiciones meteorológicas extremadamente favorables .
- Aunque después se debilitó a categoría 4 y posteriormente a categoría 3 o 2, su tamaño masivo sigue generando un campo de vientos y oleaje extensos que impactan más allá de su trayectoria central .
Impacto directo sobre las provincias atlánticas
Aunque Erin no tocará tierra firme en Canadá, sus efectos ya se sienten en la región:
- Se prevé que oleajes elevados, marejadas ciclónicas y corrientes de resaca altamente peligrosas alcancen las costas atlánticas canadienses a lo largo de esta semana, incluso sin un impacto directo del ojo de la tormenta .
- La ligazón con la seguridad marítima es alarmante, ya que olas de gran magnitud, sumadas a corrientes repentinas, representan un riesgo grave para bañistas, pescadores y embarcaciones pequeñas.
Una amenaza lateral con consecuencias directas
- En Carolina del Norte se han emitido evacuaciones obligatorias y decretado estados de emergencia en zonas como las Outer Banks, debido a marejadas de hasta 15 pies (cerca de 4,5 metros), inundaciones costeras y olas enormes .
- En la franja más alejada aún se reportan rescates de bañistas en peligro, destacando el alto riesgo que genera la tormenta incluso en zonas no directamente afectadas por el viento más intenso .
Clima extremo y cambio climático: Un patrón repetido
- La rápida intensificación de Erin es un fenómeno cada vez más común, alimentado por temperaturas oceánicas récord y condiciones atmosféricas inusuales, alineándose con tendencias de un clima global en calentamiento .
- Aunque la trayectoria exacta aún presenta incertidumbres, se considera que una masa de alta presión enviará a Erin rumbo noreste, alejándolo de EE.UU. pero potencialmente provocando efectos significativos en Atlántico canadiense .
Riesgos emergentes y recomendaciones
- Oleajes potentes, erosión costera y corrientes de resaca mortales son el principal peligro para las provincias atlánticas. Las autoridades deben considerar cierres de playas, alertas marítimas y prevención en sectores pesqueros.
- Como medidas recomendadas: evitar el baño, observar las zonas costeras desde tierra segura, obedecer señales y solicitudes de autoridades locales, y estar atentos a actualizaciones en tiempo real de los servicios meteorológicos.
| Ítem | Detalles |
|---|---|
| Estado actual | Huracán Erin alcanzó categoría 5, ahora debilitado pero amplio y peligroso |
| Trayectoria esperada | Se mantiene en el Atlántico entre EE.UU., Bermuda y las provincias atlánticas canadienses |
| Amenazas principales | Oleaje intenso, corrientes de resaca, inundaciones costeras, erosión |
| Región afectada | Desde Carolina del Norte hasta Atlántico canadiense |
| Punto climático | Intensificación rápida confirmada por condiciones oceánicas extremas |
Este suceso reafirma la urgencia de reforzar protocolos costeros y sistemas de alerta frente a eventos meteorológicos de rápida evolución. Si deseas que completemos el artículo con gráficos del oleaje proyectado, mapas de trayectoria o análisis comparativo con huracanes anteriores, estaré encantado de ayudarte.
Fuente: CBC News
Foto: CBC News